Internacionales - Posible desastre

Sábado 05 de Septiembre de 2020 - 18:34 hs

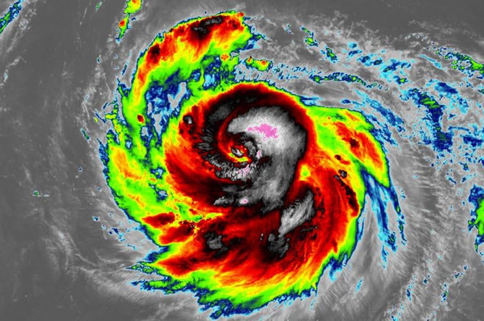
Alerta máxima en Japón por la llegada del poderoso tifón Haishen

El fenómeno meteorológico tendrá vientos huracanados de casi 300 kilómetros por hora, acompañados de "lluvias torrenciales y marejadas". Las autoridades del país nipón pidieron a la población "máxima prudencia".

Un tifón calificado como “violento” llegará a la costa suroeste de Japón, con vientos huracanados de hasta 290 kilómetros por hora. Las autoridades japonesas pidieron a la población “máxima prudencia” y aseguraron que sin dudas “va a ocurrir un desastre”.

El máximo responsable de la agencia de meteorología de Japón, Yoshihisa Nakamoto, advirtió de que su país corre el riesgo de sufrir “fortísimos vientos, lluvias torrenciales y marejadas” a causa del tifón que fue clasificado con la máxima categoría de peligrosidad en este tipo de fenómenos.

Satoshi Sugimoto, otro responsable de la agencia de meteorología, aseguró que este fenómeno denominado Haishen, con "semejante magnitud" puede generar olas tan poderosas "como un tsunami".

Unas 4.600 personas en Tarumizu, de la isla de Kyushu, al sur de Japón, fueron evacuadas de sus casas. Los habitantes de otras partes de la isla aún se preparan para salir de sus domicilios, según informaron las autoridadades, que compararon a Haishen con el tifón de septiembre de 1959 que mató a más de 5 metros personas en el centro de Japón.

El secretario del Gabinete, Yoshihide Suga, destacó que el gobierno establecerá un equipo de respuesta y llamó a las personas a tomar precauciones “para proteger sus vidas”.

El primer súper tifón de la temporada

Haishen se fortaleció rápidamente este viernes, poco después de que finalizara el ciclo de reemplazo de la pared del ojo. Se formó una pared ocular intensa, mientras que la presión central caía rápidamente. En un solo día pasó de ser un tifón con vientos equivalentes a un huracán de categoría 2 en la escala Saffir-Simpson, a una súper tormenta de categoría 4 con vientos sostenidos de 250 km/h, ráfagas superiores y un ojo bien formado. Incluso ha superado a Maysak como la tormenta más fuerte, y se convirtió en el primer súper tifón de esta temporada en el Océano Pacífico occidental.

 

Fuente: Agencias