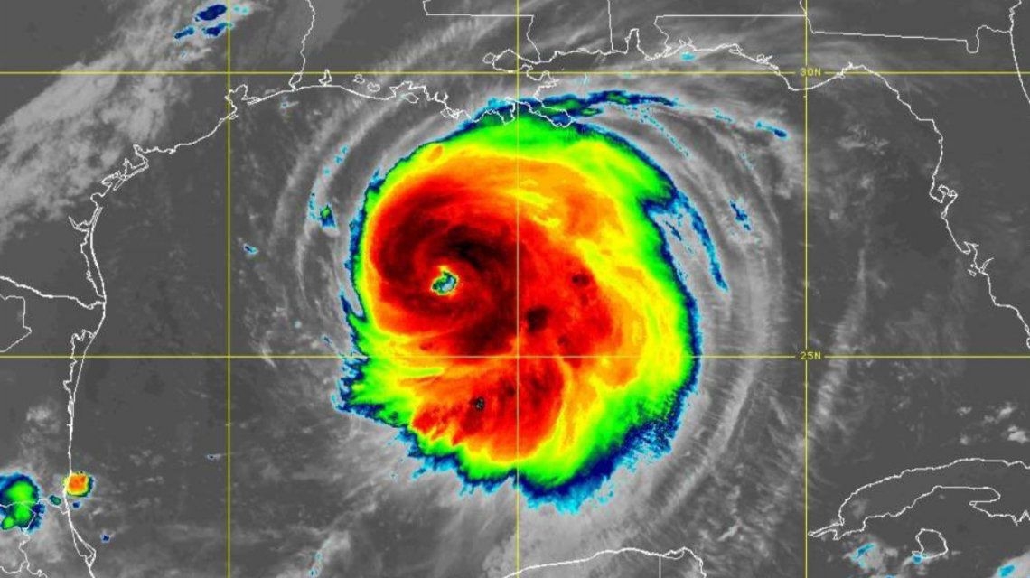
El Huracán Laura subió a categoría 3 en las últimas horas a poco de tocar tierra en la costa del Golfo de México. Más de 400.000 personas fueron evacuadas y desde el Centro Nacional de huracanes de Estados Unidos advierten que los daños podrían ser “catastróficos”.
Se espera que el Huracán Laura toque tierra el jueves por la mañana en Texas y Luisiana- hacia donde se dirige con a una velocidad de 26 km/h y registra vientos de hasta 220 km/h- y pronostican que llegará con categoría 4 en la escala de 5 de Saffir-Simpson.
El ojo de Laura se prevé que atraviese el noroeste de Luisiana a lo largo del jueves, por Arkansas en la noche del jueves y por el valle del Misisipi el viernes", señala el Centro Nacional de huracanes.

Y advierten con un mensaje: “Se esperan marejas catastróficas, vientos extremos e inundaciones repentinas a lo largo de la costa noroeste del Golfo esta noche. Permanecer poco tiempo para proteger la vida”.