Internacionales - categoría 5

Domingo 01 de Septiembre de 2019 - 09:33 hs

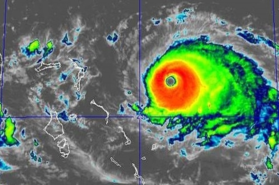
El huracán Dorian cambió de curso y se dirige a Bahamas

Se espera que el ciclón impacte este domingo el noroeste de la isla caribeña con ráfagas de hasta 240 km/h.

Actualizado: Domingo 01 de Septiembre de 2019 - 09:35 hs

El ciclón alcanza vientos de 240 km/h, con ráfagas incluso más fuertes, con lo que está cerca de alcanzar la categoría 5, la máxima de la escala Saffir-Simpson.

En Gran Bahama, miles de personas evacuaron de las zonas donde se espera impacte el huracán. Desde el viernes las casas y comercios estaban précticamente cerradas.

El primer ministro de Bahamas, Hubert Minnis, dijo a los ciudadanos que será un "huracán poderoso y potencialmente mortal" y pidió desalojar el área. "Quienes se niegan a evacuar se encuentran en un gran peligro. No pongan su vida y la de sus seres queridos en un riesgo innecesario", advirtió.

Los meteorólogos aseguraron este domingo un cambio de curso del huracán. La nueva ruta no excluye que Dorian toque tierra en la costa de Florida. Durante la noche del lunes y madrugada del martes se acercará a la zona y la advertencia por tormenta tropical sigue vigente para partes de la costa estadounidense.

El gobernador de Florida, Ron DeSantis, pidió a los residentes prepararse para un "evento de varios días".

Se espera que el fenómeno siga avanzando hacia el oeste y gire hacia el norte, rumbo a Carolina del Sur y Carolina del Norte.

El presidente estadounidense, Donald Trump, aseguró este sábado Dorian "parecía que podría ser un monstruo absoluto". Canceló un viaje a Polonia para concentrarse en los preparativos para la tormenta. "Se está moviendo y es muy difícil de predecir", tuitió este sábado.

Trump declaró un estado de emergencia en Florida autorizando asistencia federal para complementar los esfuerzos estatales y locales.

Fuente: CNN