Internacionales - Historias

Jueves 07 de Septiembre de 2017 - 15:35 hs

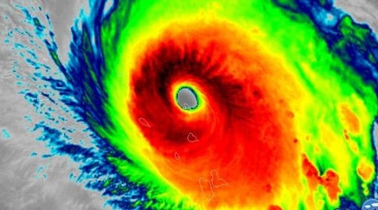
Cargar el auto y huir del huracán Irma

La vecina del apartamento 1 se fue anoche con sus hijas, sus galones de agua, sus documentos, el tanque del SUV lleno, para no estar en la casa cuando la golpee el huracán Irma.

Actualizado: Domingo 10 de Septiembre de 2017 - 09:20 hs

Las gatas que viven en el estacionamiento esperaron en la puerta su desayuno habitual, pero nadie se asomó para dárselos.
La vecina del apartamento 3 les consiguió comida de gatos y, ya que había logrado salir, se puso a lavar el auto, "para hacer algo por el estrés". 

Casi no han quedado coches estacionados, la mayoría de los habitantes de este edificio en una de las pequeñas islas de North Bay Village se fue a casa de algún familiar o algún amigo en zonas que normalmente no se inundan.


—Yo no me voy a ninguna parte. Tengo contraventanas y comida y agua-dice. Y un perro viejito y casi ciego que ya está preocupado, atento a los movimientos extraños.


El sol luce tan extraño en el cielo como la conversación que tenemos sobre la miniaspiradora para interior de automóviles que compró por USD 20. Esperamos algo espantoso que no sabemos exactamente qué es, pero todavía el cielo está hermoso y es posible hablar de tonterías.


North Bay Village es un pequeño municipio al norte de Miami, camino al condado de Broward y entre la ciudad y la playa. Para entrar y salir se puede elegir entre un puente u otro. Alrededor todo es agua.

 North Bay Village es un pequeño municipio al norte de Miami, camino al condado de Broward y entre la ciudad y la playa. Para entrar y salir se puede elegir entre un puente u otro. Alrededor todo es agua.

—Va a llegar hasta la puerta, pero después acá se va p'al mar —anuncia la vecina del 3 sobre la inundación, y señala la bahía. Ella estuvo aquí cuando pasó el huracán Andrew, y estima que será algo parecido. Pero teme que sea peor.


En Cuba, cree, Irma perderá fuerza porque topará con montañas: el Pico Turquino, que famosamente los jóvenes cubanos escalan cinco veces, tiene 1.974 metros, una cifra que a los que venimos de América del Sur nos hace sonreír.


—Oye, ¿tienes agua? —me pregunta.
—Creo que sí.
—A ver, muéstrame el trunk.


Caminamos hacia mi auto pero casi no lo reconozco: ya no está a su lado el jeep vistoso del vecino del 11, que he convertido en referencia para estacionar. Ayer el tipo se reía de sí mismo, con una lata en la mano: había comprado agua en cantidades, como todo el mundo, pero poca cerveza. Mostraba una reposera inflable en la que flotaría sobre la inundación. Los nervios se doman con humor, parecía creer.


En el baúl del auto hay un galón —que quedó del huracán Andrew: normalmente evito el agua embotellada en plástico—, cuatro botellas de litro y medio y cuatro de un litro. La vecina del 3 dictamina que eso es nada, y me trae una caja entera de 24 botellas.


—Ahora sí tienes agua. Ve a bañarte, ya tienes que salir.
El sol sigue brillante en el cielo.


—¿Cuál sería el apuro?
—Es que tú no entiendes, no has vivido huracanes —dice ella, que llegó de Cuba en el éxodo del Mariel, en 1980, una adolescente aterrada y sola—. La carretera va a estar llena de carros. La gente está loca, se insultan y se caen a los golpes por cualquier cosa. Chocan. Todo puede pasar.


Al volver al apartamento recuerdo que hace menos de una semana estaba sentada a la mesa con amigos —queda el globo que dice "Congrats" de prueba—, comíamos y bebíamos rico, escuchábamos a Amy Winehouse.


Y ahora, de pronto, hay que fotografiar ese mismo espacio para el seguro —una especie de foto Charles Atlas antes/después, pero probablemente con vidrios rotos y muebles arruinados—, cortar el agua y las llaves de electricidad. Y salir, sin saber muy bien si uno lleva lo que necesita porque, simplemente, no se tiene idea de cuál será la necesidad exacta. Hacia un lugar que no se inunda. Normalmente.

Fuente: infobae